

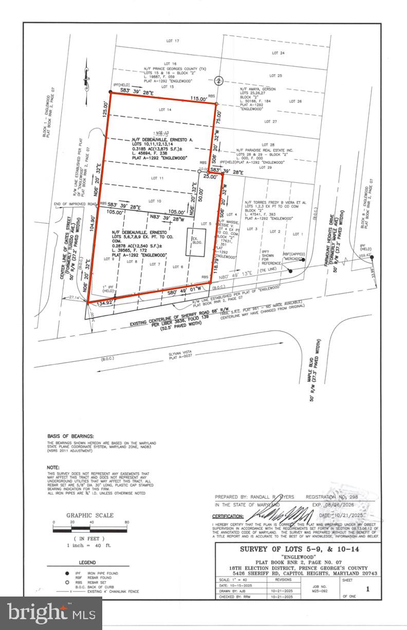
9‑Unit Townhome Development in process- Inside the Beltway, blocks from DC. Flat and Mostly cleared land. Old commerical existing store already on the lot. An exceptional infill development opportunity in the heart of Capitol Heights. This 9 ‑unit townhome subdivision offers developers a rare chance to build in a high‑demand, transit‑oriented corridor. Located on Sheriff Road with over 200 feet of frontage, the site sits just minutes from the Capitol Heights and Deanwood Metro stations, providing strong appeal for both for‑sale and build‑to‑rent strategies. Public water and sewer and electricity already at the site. NO HOA. The surrounding area continues to see steady residential absorption and revitalization, making this a prime location for a 9 ‑unit townhome community. Note: This new community is still in permitting and buyers will have to finish permit work. $475 K OR BEST OFFER!! This sales comes with 10 lots.
| 23 hours ago | Listing first seen on site | |
| 23 hours ago | Listing updated with changes from the MLS® |
Compare listings
ComparePlease enter your username or email address. You will receive a link to create a new password via email.
We use cookies to improve your experience on our site. By using our site, you consent to cookies.
Manage your cookie preferences below:
Essential cookies enable basic functions and are necessary for the proper function of the website.
You can find more information in our Cookie Policy and Privacy Policy.